|
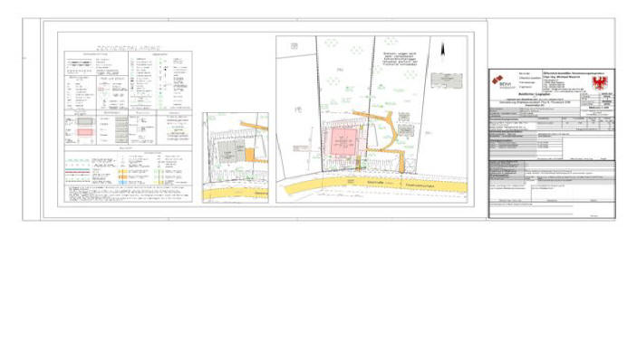
Amtlicher Lageplan nach §3
BbgBauVorlV
Zur Beurteilung der Zulässigkeit eines Bauvorhabens
stellt der Amtliche Lageplan
eine der wichtigsten Bauvorlagen dar. Der
Regelmaßstab beträgt dabei 1:200.
Er enthält Tatbestände an Grund und Boden, die durch
vermessungstechnische
Ermittlungen festgestellt worden sind und mit dem
öffentlichen Glauben.
beurkundet werden.
Objektbezogener Lageplan nach §4
BbgBauVorlV
Dieser Lagepan wird auf Grundlage des Amtlichen
Lageplanes erstellt und
beinhaltet zusätzlich alle relevanten Daten des
neuen Bauvorhabens wie
Außenmaße mit Grenzabständen und Abstandsflächen,
Dachform und
Höhenlage des Erdgeschossfussbodens zur Strasse.

 |